Działka budowlana, ul. Na Skraju
Na Skraju, Załuski, Warszawa, mazowieckie
- 27 000 000 zł
- 30 000 m²
- 900 zł/m²
Maciej Adamczyk
Skontaktuj się
Działka budowlana, ul. Na Skraju
Na Skraju, Załuski, Warszawa, mazowieckie
zaktualizowane:
17 lutego 2026
Działka budowlana, ul. Na Skraju
Zaktualizowane: 17 lutego 2026
27 000 000 zł 30 000 m² 900 zł/m²
Warto zadzwonić
wysokie zainteresowanie
budowlana
droga asfaltowa
prostokąt
gaz, prąd, woda, kanalizacja
Zobacz na mapie
Rodzaj działki:
budowlanaDojazd:
droga asfaltowaKształt:
prostokątMedia:
gaz, prąd, woda, kanalizacjaSzczegóły ogłoszenia
- Typ oferty: działka na sprzedaż
- Cena: 27 000 000 zł (900 zł/m²)
- Forma własności: własność
- Działka: budowlana, 30 000 m²
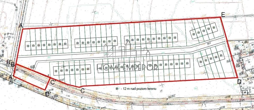
- kształt: prostokąt; długość: 70m; szerokość: 450m; teren płaski, pusta
- dojazd drogą asfaltową, działka nieogrodzona
- określone warunki zabudowy
- Media: prąd, woda w drodze, gaz, kanalizacja (działka uzbrojona)
- Źródło: biuro nieruchomości: Home Emperor, zaktualizowane: 17.02.2026
- numer ogłoszenia: EMP-GS-5282-29
Opis nieruchomości
Na działkę można dojechać wklejając do Google Maps 52.157778, 20.947304
Warszawa, Włochy, Załuski, ul. Na Skraju, obręb 2-06-18, numer ewidencyjny 16/1.
Media:
prąd - na działce
woda, gaz - w ulicy
kanalizacja - na działce
Wymiary działki: 70 m x 450 m
Działka nie jest objęta miejscowym planem zagospodarowania przestrzennego. (...)
883 106...
883 106 453
883 106 453

